Inicio » Archivo

Artículos etiquetados con: Huracán

La situación energética y los efectos del huracán Oscar (+ Video)

Autoridades de la Unión Eléctrica, el Estado Mayor Nacional de la Defensa Civil, el Instituto de Meteorología y el Instituto Nacional de Recursos Hidráulicos comparecieron este lunes en la Mesa Redonda para brindar información sobre el proceso de recuperación del sistema eléctrico nacional y los efectos causados en el oriente del país por el paso del huracán Oscar.

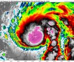
Cuba mantiene vigilancia debido a posibles inundaciones costeras por paso de huracán Milton

Según la doctora Miriam Teresita Llanes, jefa del Centro de Pronósticos del Instituto de Meteorología, los trenes de olas generados por el tránsito de Milton por el sudeste del golfo de México, ocasionarán, desde el mediodía de este miércoles, fuertes marejadas e inundaciones costeras moderadas en el litoral norte occidental, incluido el malecón habanero.

Se prepara la Isla de la Juventud ante amenaza del huracán Milton

Las máximas autoridades locales constituidas en Grupo Temporal están alertas ante la amenaza de los vientos asociados al huracán Milton, que encuentra en su paso próximo a Isla de la Juventud el suelo saturado por las intensas lluvias que acompañaron a Helene. Milton clasifica como el quinto evento más intenso registrado en la región. 

Especialistas de la UNE participan en restauración de redes eléctricas afectadas por Beryl en San Vicente y las Granadinas

Otro grupo de especialistas de la Unión Eléctrica de Cuba llegó este lunes a San Vicente y las Granadinas, donde brindarán servicios como parte de una nueva etapa de la cooperación entre las dos naciones caribeñas. De acuerdo con la agencia noticiosa API, se trata de linieros que ayudarán en la reconstrucción de las redes distribuidoras de energía afectadas por el paso del huracán Beryl.